Strongylaspis antonkozlovi es una especie de escarabajo longicornio del género Strongylaspis, categorizada en la tribu Macrotomini, de la subfamilia Prioninae.[1] Fue descrita por Galileo y Santos-Silva en 2018.[1]
El período de actividad en ejemplares adultos se presenta regularmente en el mes de junio.[1] Existen ejemplares de la especie en colecciones privadas rusas.[2]
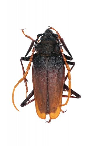
Descripción
Mide 27-32,2 mm de longitud.[1][2]
Distribución
Se distribuye por América Central: Honduras.[3]
Referencias
.jpg)
![]()
_Bates_1884_SS.jpg)

